Description
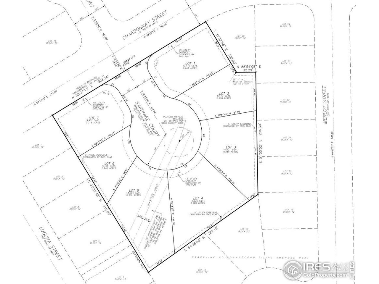
Lots are ready to build! Spacious residential building lot available in the established Grapevine Hollow neighborhood. Possible walk out basement lot - over10,000 sq ft in size! 7 total lots available on Sapphire court including lots with potential for daylight or walk-out basements. Low HOA fees and NO metro district! Raw water requirements have been satisfied but water & sewer taps will need to be purchased separately.
-
0BEDS
-
0.24ACRES
-
0BATHS
-
01/2 BATHS
School Information
Description
Lots are ready to build! Spacious residential building lot available in the established Grapevine Hollow neighborhood. Possible walk out basement lot - over10,000 sq ft in size! 7 total lots available on Sapphire court including lots with potential for daylight or walk-out basements. Low HOA fees and NO metro district! Raw water requirements have been satisfied but water & sewer taps will need to be purchased separately.
Related Properties
© 2026 Information and Real Estate Services, LLC. IDX information is provided exclusively for consumers' personal, non-commercial use and may not be used for any purpose other than to identify prospective properties consumers may be interested in purchasing. Information is deemed reliable but is not guaranteed accurate by the MLS or RE/MAX Alliance. Data last updated: 2026-02-18T18:43:43.347.
Information source: Information and Real Estate Services, LLC. Provided for limited non-commercial use only under IRES Rules © Copyright IRES.
